- Milhões de residentes estão em alerta enquanto especialistas trabalham para identificar a sua chegada
- Meteorologistas seniores alertaram que poderia ter um impacto mais amplo do que Narelle
- O sistema pode potencialmente se tornar o 11º ciclone da temporada
Milhões de habitantes de Queensland foram alertados para ficarem em alerta quando um intenso ciclone tropical se aproxima da costa.
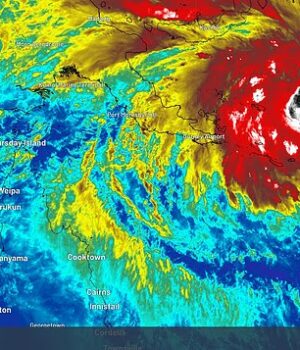
O Bureau de Meteorologia confirmou na manhã de segunda-feira que o severo ciclone tropical Myla deverá se mover em direção ao extremo norte da costa de Queensland no final desta semana, após se fortalecer sobre o Mar de Salomão.
“Os efeitos de direção são equilibrados e espera-se que Myla se mova lentamente sobre o Mar de Salomão antes de se mover para oeste-sudoeste na quinta-feira”, disse o BoM em comunicado.
‘Espera-se que Myla esteja bem longe da costa de Queensland nos próximos dias, mas pode se mover em direção à costa do Extremo Norte de Queensland até o final da semana, aumentando a confiança em Myla potencialmente cruzando a costa no fim de semana.’
De acordo com o BoM, Myla é atualmente um ciclone de categoria três, com ventos sustentados de 130 quilómetros por hora no seu centro e rajadas de 185 quilómetros por hora, acarretando o risco de chuvas fortes e possíveis inundações.
O analista sênior do BoM, Baden Gilbert, disse que o ciclone provavelmente terá um impacto maior do que o ciclone Narel, que atingiu comunidades no extremo norte de Queensland em quatro categorias no mês passado.
“Narel era um sistema um pouco pequeno, então era muito destrutivo e a área de seus vendavais era pequena”, disse ele.
‘Este sistema (Mila) parece ter um tamanho um pouco mais normal do que a média histórica – então, por causa disso, a área da tempestade pode ser um pouco maior, o que significa que mais pessoas podem ser afetadas por esses ventos prejudiciais.’
Espera-se que o severo ciclone tropical Myla chegue ao continente no final desta semana, após se fortalecer sobre o Mar de Salomão.
Acontece semanas depois que comunidades no extremo norte de Queensland foram atingidas pelo ciclone Narel
Ele acrescentou: “Quando falamos sobre os ventos desses tipos de sistemas climáticos, eles trazem chuvas significativas – ou continuam a trazer chuvas significativas quando cruzam a costa e se movem sobre a terra”.
No entanto, os meteorologistas ainda não identificaram a sua chegada, com vastas áreas do extremo norte do estado ainda sob alerta.
A meteorologista da Sky News, Tamsin Green, disse: “Há muita incerteza nos modelos meteorológicos atuais sobre se um ciclone tropical poderia afetar Queensland nos próximos sete a 10 dias.
‘Pode ficar a oeste e contornar o lado norte da Península do Cabo York em direção ao mar. Ou poderia chegar ao NT, ou até mesmo contornar para leste e chegar ao Mar de Coral.
‘Então, é preciso ficar atento porque muita coisa pode mudar nos próximos dias.’
Espera-se que o BoM emita sua próxima previsão para a trajetória do ciclone Myler às 17h (AEST) de segunda-feira.
Se Myla atingir a costa neste fim de semana, será o segundo ciclone em três semanas a cruzar a costa de Queensland – o intervalo mais curto entre impactos diretos no estado desde Anthony e Yassi no início de 2011.
O sistema poderia ser potencialmente o 11º ciclone da temporada, próximo da média, mas próximo do final da temporada de ciclones tropicais da Austrália, que vai até o final de abril.
Espera-se que o BoM emita sua próxima previsão para a trajetória do ciclone Myler às 17h de segunda-feira.
Também é possível que o sistema siga o caminho do Ciclone Norel à medida que os esforços de limpeza e reparo continuam.
Norrell é a terceira tempestade registrada na história a atingir a costa como um ciclone em três jurisdições australianas, juntando-se a Ingrid (2005) e Steve (2000).
Primeiro atingiu a costa no norte de Queensland, depois no Território do Norte e depois na Austrália Ocidental.



