Uma série de cidades costeiras isoladas estão na linha de fogo enquanto um poderoso ciclone tropical avança em direção à costa oeste da Austrália.
O ciclone tropical Narel foi elevado para um sistema severo de categoria quatro na costa noroeste da Austrália Ocidental na quinta-feira e pode se fortalecer.
A tempestade está a caminho de cruzar a costa entre Carnarvon e Kalbarri como um sistema degradado de categoria três na noite de sexta-feira, mas ainda pode causar impacto, com rajadas de vento de até 224 km/h possíveis.
Esperava-se que cruzasse Exmouth durante a noite e afetasse Coral Bay e Denham antes de desembarcar na área de Shark Bay.
O meteorologista da ABC, Nate Byrne, disse que o ciclone ‘monstro’ deveria cruzar a costa em algum lugar entre o Cabo Cuvier e Shark Bay na sexta-feira.
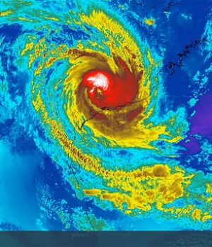
“É um ciclone monstruoso, com um olho claro no centro – isso diz muito sobre a sua intensidade”, disse ele à ABC.
Depois de deixar um rastro de destruição em partes de Queensland e do Território do Norte, Norel foi restaurado.
O sistema está programado para se mover para sudeste depois de cruzar a costa e uma baixa tropical se moverá para leste de Perth no sábado, trazendo chuvas e trovoadas.
O ciclone Norel tem um olhar claro no centro da tempestade, como pode ser visto neste mapa da zona meteorológica
O sistema da Categoria Quatro foi fortalecido novamente à medida que se prepara para cruzar a costa da Austrália Ocidental
O deputado dos Serviços de Emergência do Estado de Kalbarri, Steve Duncan, disse que a cidade estava preparada para a chegada de Norell nas primeiras horas de sábado.
“A maior parte da cidade esteve aqui (ciclone Seroja em 2021)”, disse ele. ‘É uma vantagem dos acontecimentos passados, as pessoas estão mais conscientes.’
Seroja arrasou a cidade costeira de cerca de 1.500 habitantes depois de cruzar a costa como um sistema de categoria três.
“As pessoas ainda estão bastante animadas”, disse Duncan.
‘Foi um grande choque para a cidade, por isso as pessoas estão muito cautelosas com qualquer impacto potencial do ciclone na área, o que é bastante compreensível.’
Espera-se que a cidade agrícola de Carnarvon seja atingida diretamente por Narelle na sexta-feira como um sistema de Categoria Quatro.
O presidente do condado, Eddie Smith, disse que estava tentando permanecer positivo para poder lidar com o que quer que tenha atingido a cidade.
“Estamos esperando o inevitável”, disse ele. ‘Espero que possamos reduzir potencialmente de três ou quatro para dois, isso seria muito bom.’
Na quinta-feira, o ciclone foi visto ao norte da costa da Austrália Ocidental
O sistema está definido para entrar em uma baixa tropical a leste de Perth no sábado
A chefe da Cooperativa de Produtores de Banana, Doriana Mangili, disse que os agricultores ainda estavam se recuperando do ciclone tropical Mitchell há seis semanas.
“No final, a velocidade do vento era de apenas 100 km/h, mas a previsão é de chegar a 220 km/h, então é um cenário muito diferente”, disse ele.
‘Este é o tipo de vento que pode arrancar o telhado de uma casa; Definitivamente haverá detritos voando por aí.
‘Você vê os postes de energia e então o processo de recuperação se torna muito mais difícil, porque você não pode fazer nada até que a energia seja restaurada.’
A cidade de cerca de 6.000 habitantes foi devastada pelo ciclone tropical Olwyn em 2015, quando faltou energia e água durante mais de uma semana e as estradas foram cortadas.
“Está mostrando cada vez mais uma intensidade semelhante à de Wolwyn”, disse Mangili. «Perdeu 100 por cento da nossa produção (agrícola).
‘Já vimos isso antes.’
Os agricultores estão a lutar para recolher o máximo de fruta possível para enviar para Perth, 900 quilómetros a sul, antes que as estradas da região sejam fechadas.
“Eu brinquei ontem que o único problema que tive na semana passada foi o custo do combustível, fertilizantes e embalagens… agora provavelmente não tivemos rendimentos durante 18 meses”, disse a Sra. Mangili.
‘É devastador.’



