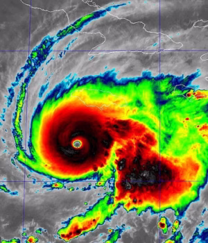
O furacão Melissa intensificou-se para uma tempestade de categoria 5 ao aproximar-se da Jamaica na segunda-feira, onde os meteorologistas esperavam que provocasse inundações catastróficas, deslizamentos de terra e danos generalizados.
Com essa força, seria o furacão mais forte a atingir a ilha desde que os registos começaram a ser mantidos em 1851.
Responsável por seis mortes enquanto se dirigia para ilhas no norte do Caribe, o Melissa estava a caminho da Jamaica na terça-feira, antes de chegar à costa de Cuba e depois às Bahamas.
Não se espera que afete os Estados Unidos.
O primeiro-ministro jamaicano, Andrew Holness, disse, antecipando a dor das poupanças para o seu país: ‘Estou de joelhos em oração.’
Hannah McLeod, uma recepcionista de hotel de 23 anos na capital jamaicana de Kingston, disse que pulou pela janela de sua casa, onde moram seu marido e seu irmão. Ele estocou carne enlatada e cavala e deixou velas e lanternas por toda a casa.
“Eu disse a eles para fecharem a porta”, disse ela. ‘Estou definitivamente preocupado. Na verdade, esta é a primeira vez que encontro um furacão assim.’
A categoria 5 é o topo da escala de furacões Saffir-Simpson, com ventos sustentados superiores a 250 km/h.
O furacão Melissa atingiu a categoria 5 na segunda-feira. O Centro Nacional de Furacões previu que a tempestade atingiria a Jamaica, onde vivem cerca de três milhões de pessoas.
A lenta tempestade matou pelo menos três pessoas no Haiti e uma quarta na República Dominicana, onde outra está desaparecida.
O meteorologista-chefe da Aquaweather, Jonathan Porter, disse que Melissa seria o furacão mais forte da história registrada a atingir diretamente a pequena nação caribenha.
Uma tempestade de até 13 pés era esperada ao longo da costa de Kingston, que Porter disse abrigar infraestruturas críticas, como o principal aeroporto internacional da Jamaica e usinas de energia.
“Isto poderá transformar-se numa verdadeira crise humanitária muito rapidamente e provavelmente exigirá muito apoio internacional”, disse Porter numa entrevista por telefone.
Na tarde de segunda-feira, Melissa estava centrada a cerca de 140 milhas a sudoeste de Kingston e cerca de 320 milhas a sudoeste de Guantánamo, Cuba.
De acordo com o Centro Nacional de Furacões dos EUA em Miami, o sistema tinha ventos máximos sustentados de 175 mph e movia-se para noroeste a 3 mph.
Partes do leste da Jamaica poderão ver até 30 polegadas (76 cm) de chuva, enquanto o oeste do Haiti poderá receber 16 polegadas (40 cm), disse o centro de furacões, citando a possibilidade de “inundações repentinas catastróficas e numerosos deslizamentos de terra”.
Foram ordenadas evacuações obrigatórias em comunidades propensas a inundações na Jamaica, com autocarros a transportar as pessoas para locais seguros.
Mas alguns insistiram em ficar.
Um homem anda de bicicleta antes da previsão de chegada do furacão Melissa em Kingston, Jamaica, domingo, 26 de outubro de 2025. (AP Photo/Matthias Delacroix)
A tempestade já causou fortes chuvas na República Dominicana, na foto
Um homem observa as ondas quebrando contra a parede à beira-mar de Kingston em 27 de outubro de 2025.
O furacão Melissa atingirá a Jamaica como o furacão mais forte a atingir a ilha desde o furacão Gilbert, em 1988.
“Ouço o que dizem, mas não vou embora”, disse Noel Francis, um pescador de 64 anos que mora na praia da cidade de Old Harbour Bay, no sul, onde nasceu e foi criado. ‘Eu posso cuidar de mim mesmo.’
Seu vizinho Bruce Dawkins disse que também não tem planos de sair de casa.
“Não vou a lugar nenhum”, disse Dawkins, vestindo uma capa de chuva e segurando uma cerveja. O pescador disse que já havia assegurado sua embarcação e planejava enfrentar a tempestade com seu amigo.
Várias cidades ao longo da costa sul da Jamaica já relataram cortes de energia devido aos ventos noturnos.
“A minha única preocupação são as inundações, porque vivemos perto do mar”, disse Hyacinth White, 49 anos, que disse não ter planos de procurar abrigo.
Autoridades disseram que a maior tempestade era esperada na comunidade de Black River, no oeste da Jamaica, onde Sandra Walker era a única vendedora ambulante horas antes da chegada do furacão.
“Não tenho escolha a não ser ficar aqui”, disse ela enquanto arrumava batatas, bananas verdes, tomates e talos de cebolinha em sua barraca.
Walker, mãe solteira de dois filhos, ainda está lutando para se recuperar depois que o furacão Beryl destruiu seu negócio e sua casa no ano passado.
Ele mora à beira-mar, mas não planeja ir para o abrigo porque teve uma experiência ‘terrível’ no abrigo durante o furacão Ivan, quando a instalação ofereceu apenas algumas latas de carne enlatada para compartilhar.
Melissa pode atingir a força da categoria 5 na segunda-feira, com ventos sustentados de mais de 157 mph.
Um poste de luz caído da Jamaica Public Service Company é visto na estrada principal em Sugar Man’s Beach em Haleshire, paróquia de St. Catherine, perto de Portmore, quando a Jamaica começa a sentir os efeitos do furacão Melissa em 26 de outubro de 2025.
O furacão Melissa se fortaleceu para uma tempestade de categoria 4 às 7h40 do dia 26 de outubro de 2025, enquanto se agitava para noroeste através do Mar do Caribe.
Um homem tenta proteger o telhado de sua casa antes da chegada do furacão Melissa em 27 de outubro de 2025
Autoridades do governo jamaicano dizem estar preocupadas com o fato de menos de 1.000 pessoas estarem em mais de 880 abrigos abertos em toda a ilha.
“Isso está muito abaixo do que é necessário para um furacão de categoria 5”, disse o Ministro dos Transportes da Jamaica, Daryl Vaz, que apelou às pessoas para “serem inteligentes…infelizmente, se não forem, vão pagar as consequências”.
A tempestade lenta matou pelo menos três pessoas no Haiti e uma quarta na República Dominicana, onde outra está desaparecida. Duas pessoas morreram enquanto cortavam árvores antes da tempestade de fim de semana na Jamaica.
“Não há nada para brincar”, disse o Ministro da Água e do Meio Ambiente, Matthew Samuda. ‘A preparação acabou, mas tudo acabou.’
Mais de 50 mil clientes ficaram sem energia. Deslizamentos de terra, árvores derrubadas e linhas de energia derrubadas foram relatados antes da tempestade.
No leste de Cuba, estava em vigor um alerta de furacão para as províncias de Granma, Santiago de Cuba, Guantánamo e Holguín, enquanto um alerta de tempestade tropical estava em vigor para Las Tunas. Foram previstos até 50 centímetros de chuva em partes de Cuba, juntamente com uma tempestade significativa ao longo da costa.
As autoridades cubanas disseram que evacuariam mais de 600 mil pessoas da região, incluindo Santiago, a segunda maior cidade da ilha. Longas linhas de ônibus foram criadas em algumas áreas.
Mais tarde, estava previsto que Melissa passaria pelo sudeste e centro das Bahamas, que estavam sob alerta de furacão. Um alerta de tempestade tropical foi emitido para as Ilhas Turks e Caicos.
Evan Thompson, diretor-chefe do serviço meteorológico da Jamaica, alertou que a limpeza e a avaliação dos danos seriam severamente atrasadas devido aos esperados deslizamentos de terra, inundações e estradas bloqueadas.
Uma tempestade de categoria 4 ou superior não atingiu a Jamaica em 174 anos de registros. O furacão Gilbert era uma tempestade de categoria 3 quando atingiu a ilha em 1988.
Um homem envolve uma bomba de gasolina enquanto o furacão Melissa se aproxima, Kingston, Jamaica, 27 de outubro de 2025
Pessoas em Ocho Rios, Jamaica, recebem sacolas de alimentos e suprimentos para o furacão Melissa
Um homem martela o telhado de sua casa antes da chegada do furacão Melissa em 27 de outubro de 2025.
Pessoas ficam à beira-mar de Kingston enquanto o furacão Melissa se aproxima em 27 de outubro de 2025 em Kingston, Jamaica.
Os furacões Ivan e Beryl eram ambos de categoria 4, mas não atingiram o continente, disse Thompson.
A tempestade já atingiu a República Dominicana, onde escolas e escritórios governamentais foram fechados na segunda-feira, na forma mais severa de alerta meteorológico até então em quatro das nove províncias.
Melissa danificou mais de 750 casas e deslocou mais de 3.760 pessoas em todo o país. As enchentes cortaram o acesso a pelo menos 48 comunidades, disseram as autoridades.
No vizinho Haiti, a tempestade destruiu colheitas em três regiões, incluindo 15 hectares de milho, numa altura em que pelo menos 5,7 milhões de pessoas, mais de metade da população do país, enfrentam níveis críticos de fome.
Melissa é a 13ª tempestade nomeada da temporada de furacões no Atlântico, que vai de 1º de junho a 30 de novembro.



